
1 / 20
Beschreibung
seit November 2024 leerstehendes Wohnhaus mit Windfang, Garage am Wohnhaus mit Dachterrasse und Einzelgarage. Freistehendes unterkellertes Einfamilienhaus als ehemaliges DDR-Typenprojekt „EW 65 B“, Baujahr 1977, ca. 246 m² Bruttogrundfläche mit EG und ausgebautem DG, äußerer und innerer Bauzustand gut und instandgehalten. Öl-Zentralheizung, separates Gäste-WC im EG/Windfang sowie Bad mit Dusche.
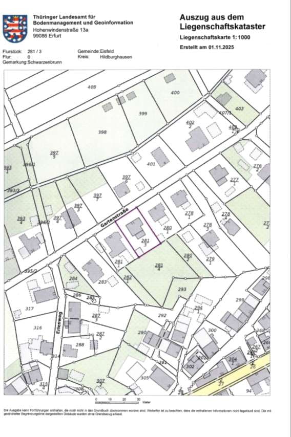
Lage & Flurstücke
Keine Koordinaten verfügbar
Gartenstraße 11, 98673 Eisfeld, OT Sachsenbrunn, Thüringen
Kostenrechner
Kostenrechner für Zwangsversteigerungen
Objektdaten
Verkehrswert:143.000 €
Bundesland:Thüringen
Grunderwerbsteuer:5,0 %
Ihre Eingaben
€
€
Rechtlicher Hinweis: Diese Berechnung dient ausschließlich der Orientierung und stellt keine rechtliche, steuerliche oder finanzielle Beratung dar. Alle Angaben erfolgen ohne Gewähr. Für eine verbindliche Auskunft wenden Sie sich bitte an einen Rechtsanwalt, Steuerberater oder Ihre Bank.