
1 / 20
Beschreibung
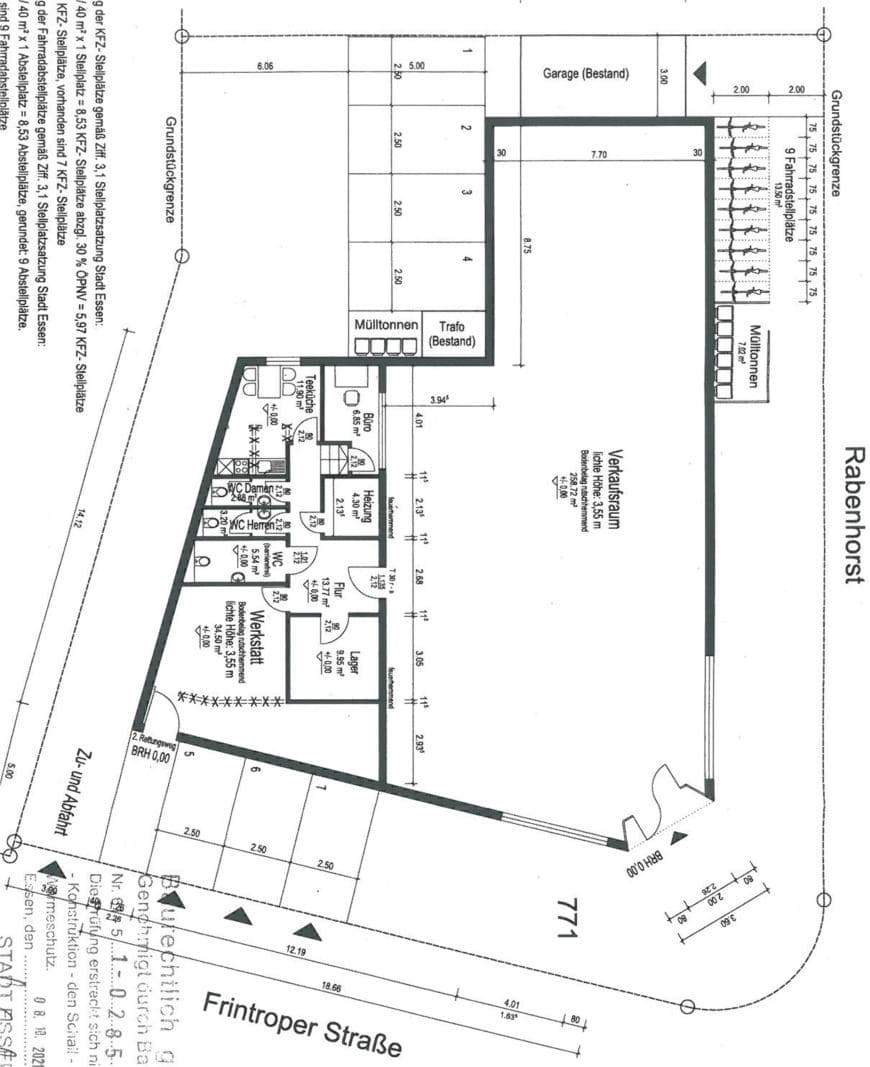
Laut Gutachten handelt es sich um ein 1-geschossiges Gewerbegebäude mit Flachdach. Einzelgarage im Bauwich. BJ: ca. 1979; NF: Gewerbeeinheit insges. ca. 337 m². Betreibender Gläubiger: Telefon 0 61 71/66-42 92, Darlehensvertrags-Nr. 899647404 und 899647405
Lage & Flurstücke
Keine Koordinaten verfügbar
Rabenhorst und Frintroper Straße 194, 45359 Essen, Nordrhein-Westfalen
Kostenrechner
Kostenrechner für Zwangsversteigerungen
Objektdaten
Verkehrswert:527.000 €
Bundesland:Nordrhein-Westfalen
Grunderwerbsteuer:6,5 %
Ihre Eingaben
€
€
Rechtlicher Hinweis: Diese Berechnung dient ausschließlich der Orientierung und stellt keine rechtliche, steuerliche oder finanzielle Beratung dar. Alle Angaben erfolgen ohne Gewähr. Für eine verbindliche Auskunft wenden Sie sich bitte an einen Rechtsanwalt, Steuerberater oder Ihre Bank.