
1 / 4
Beschreibung
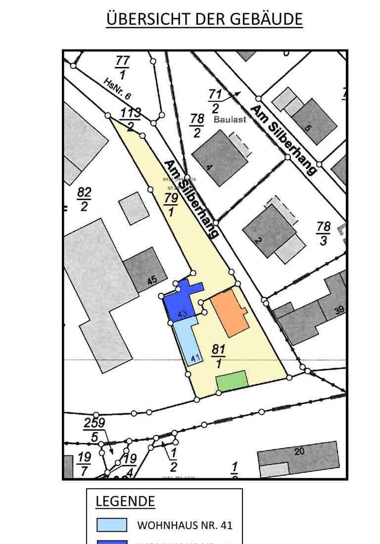
lfd. Nr. 1: Grundstück, bebaut mit einem Wohnhaus lfd. Nr. 2: Grundstück bebaut mit einem Wohnhaus mit Nebengebäuden
Lage & Flurstücke
Keine Koordinaten verfügbar
Hauptstraße 41, 43, 57641 Oberlahr, Rheinland-Pfalz
Kostenrechner
Kostenrechner für Zwangsversteigerungen
Objektdaten
Verkehrswert:73.000 €
Bundesland:Rheinland-Pfalz
Grunderwerbsteuer:5,0 %
Ihre Eingaben
€
€
Rechtlicher Hinweis: Diese Berechnung dient ausschließlich der Orientierung und stellt keine rechtliche, steuerliche oder finanzielle Beratung dar. Alle Angaben erfolgen ohne Gewähr. Für eine verbindliche Auskunft wenden Sie sich bitte an einen Rechtsanwalt, Steuerberater oder Ihre Bank.