
1 / 6
Beschreibung
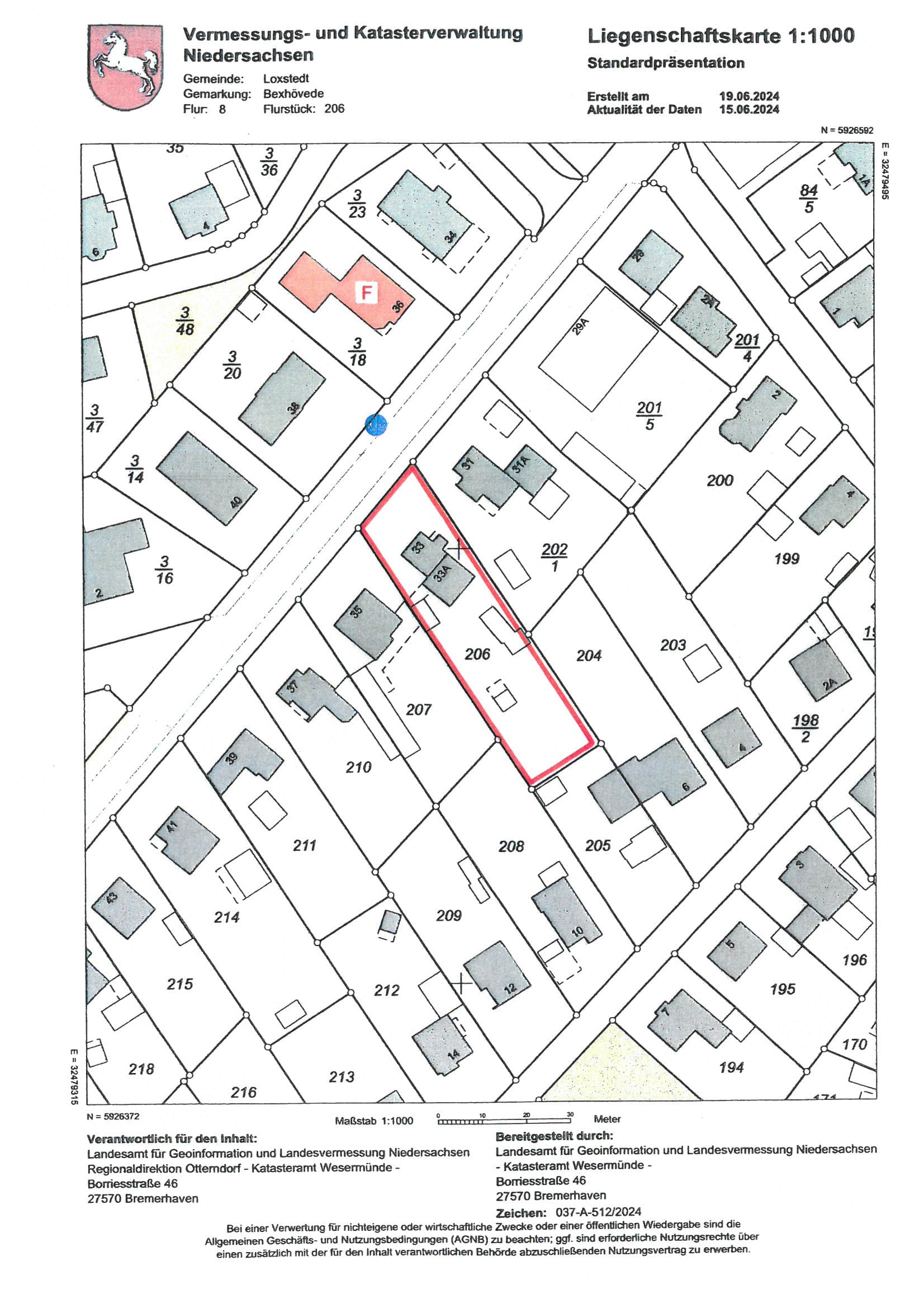
Zweifamilien-Doppelhaus mit Garage und Nebengebäude in Loxstedt-Bexhövede, Lindenallee 33 und 33A, Ursprungsbaujahr 1969, Wohnfläche insgesamt 177 m², Grundstücksgröße 1.415 m²
Dokumente
Lage & Flurstücke
Keine Koordinaten verfügbar
Lindenallee 33 u. 33a, 27612 Loxstedt, Niedersachsen
Kostenrechner
Kostenrechner für Zwangsversteigerungen
Objektdaten
Verkehrswert:304.000 €
Bundesland:Niedersachsen
Grunderwerbsteuer:5,0 %
Ihre Eingaben
€
€
Rechtlicher Hinweis: Diese Berechnung dient ausschließlich der Orientierung und stellt keine rechtliche, steuerliche oder finanzielle Beratung dar. Alle Angaben erfolgen ohne Gewähr. Für eine verbindliche Auskunft wenden Sie sich bitte an einen Rechtsanwalt, Steuerberater oder Ihre Bank.