
Beschreibung
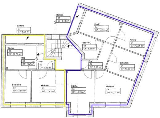
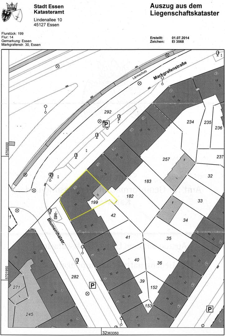
Eine 4-Zimmer Wohnung von rd. 95 m² Wohnfläche lt. Teilungserklärung. Aufteilung gemäß Aufteilungsplan: Flur, Küche, Loggia, Wohnzimmer, zwei Schlafzimmer und. Zuzüglich 1 Kellerraum Nr. 4. Im Jahr 2019/2020 wurden zwei der Räume durch die Nachbarwohnung WE Nr. 3 genutzt, obwohl sie laut Teilungserklärung der zu bewertenden Wohnung WE Nr. 4 zugeordnet sind. Außerdem wurde der Flur in den gemeinschaftlichen Treppenraum hin erweitert. Das viergeschossige Wohn- und Geschäftshaus als Eckhaus einer geschlossenen Bebauung wurde zur Markgrafenstraße und zur Blumenthalstraße direkt an den öffentlichen Verkehrsraum errichtet. Der rückwärtige kleine Innenhof kann nur über das Treppenhaus erreicht werden. Zum rechten Nachbargrundstück wurde eine ca. 2 m hohe Mauer mit Pfeilern und ein Holzsichtschutzzaun errichtet. An der linken Nachbargrenze befindet sich ein Stahlgitterzaun mit Bambusmatten als Sichtschutz. Laut Auskunft der Bezirksregierung Arnsberg liegt das zu bewertende Grundstück über dem auf Steinkohle verliehenen Bergwerksfeld „Hercules“ und über dem auf Eisenerz verliehenen Bergwerksfeld „Neu Essen“.
Lage & Flurstücke
Blumenthalstr., Markgrafenstr. 30, 00000, Nordrhein-Westfalen