
1 / 7
Beschreibung
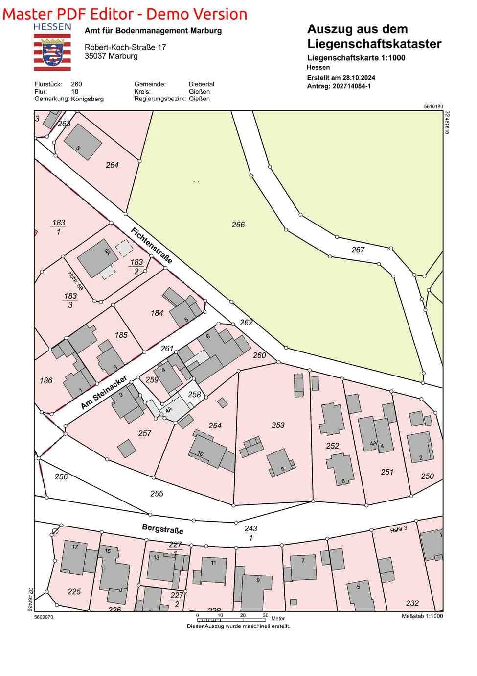
Wohnhaus mit Anbau sowie angeschlossene Werk-/Lagerhalle. Soweit bekannt geworden, sind Gebäudeteile nicht mit Baugenehmigungen legalisiert.
Lage & Flurstücke
Keine Koordinaten verfügbar
Am Steinacker 6, 35444 Biebertal, Königsberg, Hessen
Kostenrechner
Kostenrechner für Zwangsversteigerungen
Objektdaten
Verkehrswert:115.000 €
Bundesland:Hessen
Grunderwerbsteuer:6,0 %
Ihre Eingaben
€
€
Rechtlicher Hinweis: Diese Berechnung dient ausschließlich der Orientierung und stellt keine rechtliche, steuerliche oder finanzielle Beratung dar. Alle Angaben erfolgen ohne Gewähr. Für eine verbindliche Auskunft wenden Sie sich bitte an einen Rechtsanwalt, Steuerberater oder Ihre Bank.