
1 / 12
Beschreibung
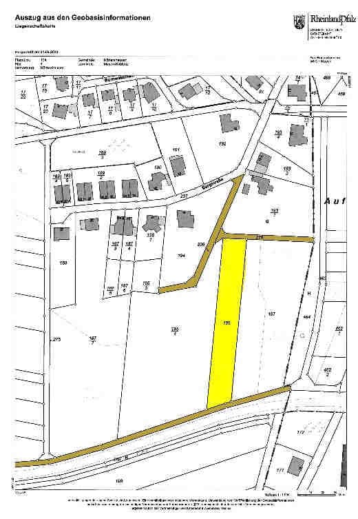
lfd.Nr. Gemarkung Flur, Flurstück Wirtschaftsart u. Lage m² Blatt 1 Nörtershausen Flur 4, Flurstück 196 Landwirtschaftsfläche Im oberen Bornwäldchen 2.532 1158 2 Nörtershausen Flur 4, Flurstück 202 Landwirtschaftsfläche In der Weidengrube 3.068 1158
Lage & Flurstücke
Keine Koordinaten verfügbar
Im oberen Bornwäldchen, In der Weidengrube, 56283 Nörtershausen, Rheinland-Pfalz
Kostenrechner
Kostenrechner für Zwangsversteigerungen
Objektdaten
Verkehrswert:10.000 €
Bundesland:Rheinland-Pfalz
Grunderwerbsteuer:5,0 %
Ihre Eingaben
€
€
Rechtlicher Hinweis: Diese Berechnung dient ausschließlich der Orientierung und stellt keine rechtliche, steuerliche oder finanzielle Beratung dar. Alle Angaben erfolgen ohne Gewähr. Für eine verbindliche Auskunft wenden Sie sich bitte an einen Rechtsanwalt, Steuerberater oder Ihre Bank.