
1 / 5
Beschreibung
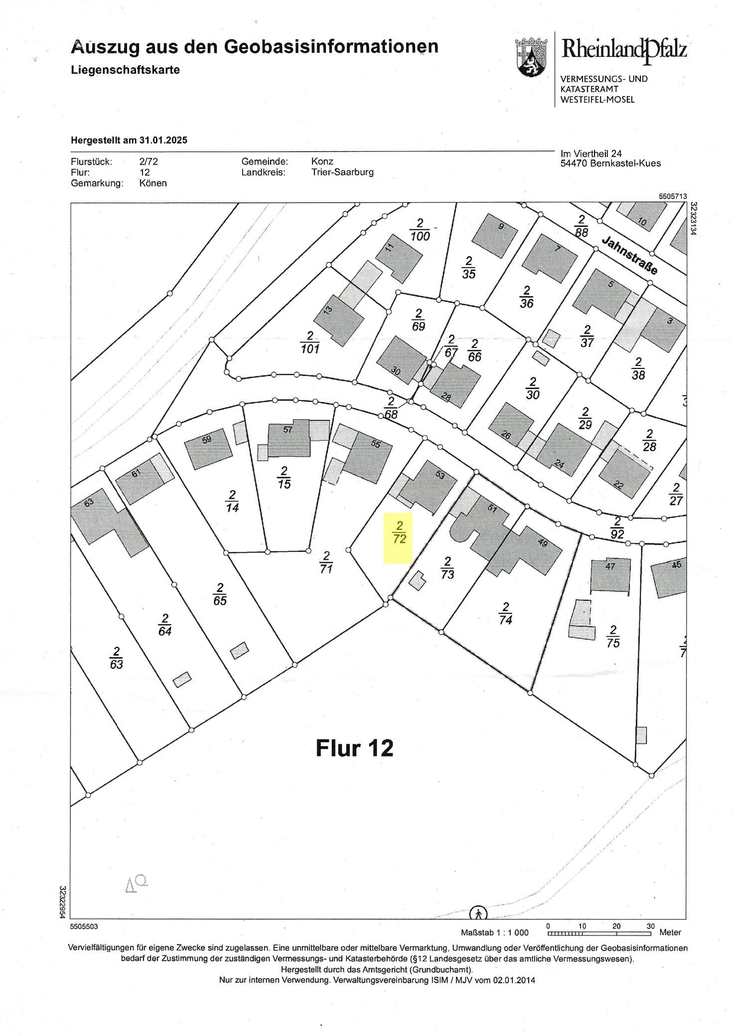
Dreifamilienhaus und einer Garage bebaute Grundstück
Lage & Flurstücke
Keine Koordinaten verfügbar
Waldstraße 53, 54329 Konz, Könen, Rheinland-Pfalz
Kostenrechner
Kostenrechner für Zwangsversteigerungen
Objektdaten
Verkehrswert:451 €
Bundesland:Rheinland-Pfalz
Grunderwerbsteuer:5,0 %
Ihre Eingaben
€
€
Rechtlicher Hinweis: Diese Berechnung dient ausschließlich der Orientierung und stellt keine rechtliche, steuerliche oder finanzielle Beratung dar. Alle Angaben erfolgen ohne Gewähr. Für eine verbindliche Auskunft wenden Sie sich bitte an einen Rechtsanwalt, Steuerberater oder Ihre Bank.