
1 / 7
Beschreibung
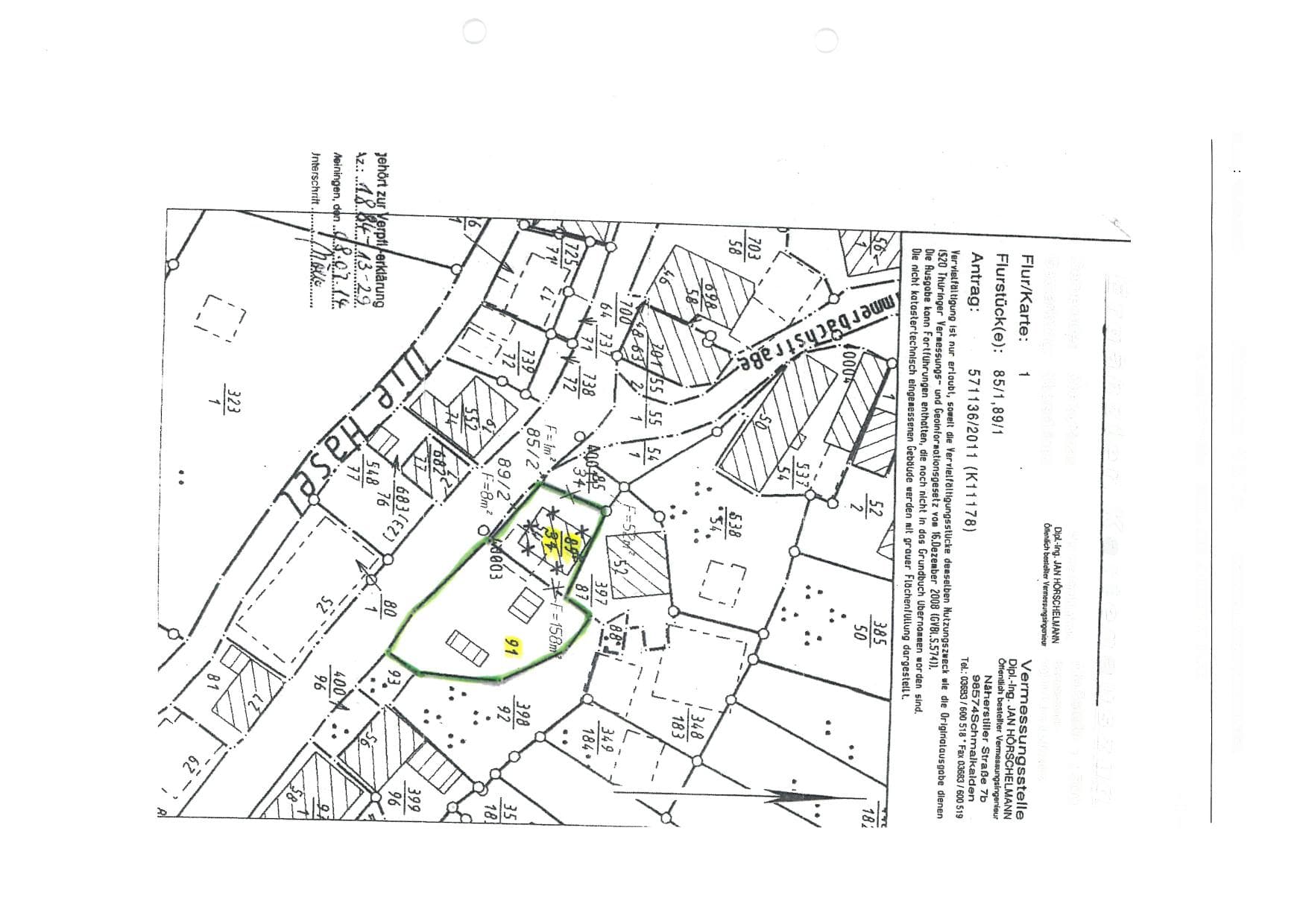
Die Grundstücke Flur 1, Flurstücke 85/3, 89/3, 88 und 397/87 sowie Flur 2, Flurstücke 348/183 und 349/184 sind als wirtschaftliche Einheit mit zwei separat stehenden Einfamilienhäusern und einigen Nebengebäuden bebaut. Wohnhaus auf Flurstück 348/183: Ursprünglich errichtete Werkstatt, Dachgeschoss zu Wohnzwecken ausgebaut. Wohnhaus auf Flurstück 397/87: Unterkellert, eingeschossig, ausgebautes Dachgeschoss. Nebengebäude: Zwei Doppelgaragen und ein aus einem Raum bestehendes Gebäude, das zuletzt als Werkstatt/Lager genutzt wurde. Die Nebengebäude sind jeweils eingeschossig und nicht unterkellert. Alle Grundstücke sind gegenwärtig ungenutzt.
Dokumente
Lage & Flurstücke
Keine Koordinaten verfügbar
Bereich Oberschönauer Hauptstraße 54, 98587 Steinbach-Hallenberg OT Oberschönau, Thüringen
Kostenrechner
Kostenrechner für Zwangsversteigerungen
Objektdaten
Verkehrswert:172.000 €
Bundesland:Thüringen
Grunderwerbsteuer:5,0 %
Ihre Eingaben
€
€
Rechtlicher Hinweis: Diese Berechnung dient ausschließlich der Orientierung und stellt keine rechtliche, steuerliche oder finanzielle Beratung dar. Alle Angaben erfolgen ohne Gewähr. Für eine verbindliche Auskunft wenden Sie sich bitte an einen Rechtsanwalt, Steuerberater oder Ihre Bank.